This experience made our article of 3 Best Tours In Trikunamalaya (With Reviews & Prices).
Snorkeling Trip To Angel Rock: An Engaging Underwater Adventure Near Nilaveli

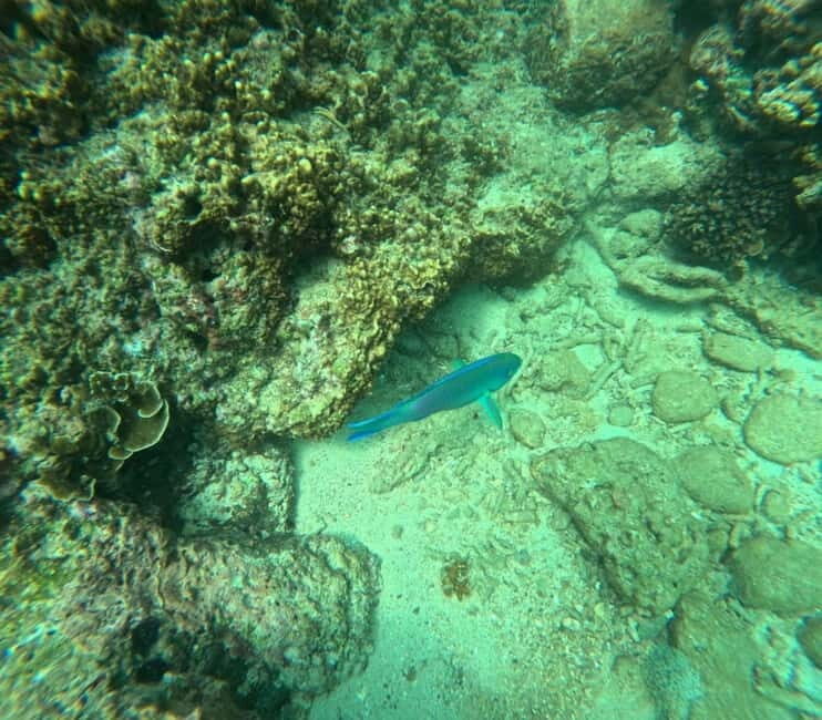
If you’re visiting Nilaveli, Sri Lanka, and craving a close encounter with marine life, the Snorkeling Trip to Angel Rock offers a compelling option. For just $22 per person, this tour takes you about 1.8 km from the iconic Pigeon Island Marine National Park, into waters where colorful fish, live coral reefs, and even the occasional turtle or reef shark await. Guided by Pigeon Island Tours, this experience is designed for those eager to explore underwater beauty without breaking the bank.
What we love most about this trip is the opportunity to see live coral reefs and vibrant fish in crystal-clear waters, plus the chance of spotting turtles or even black tip reef sharks — which add a dash of excitement for wildlife lovers. Plus, the ease of access and inclusion of snorkeling gear and boat transportation make this a practical, hassle-free outing.
On the flip side, it’s worth noting that Angel Rock doesn’t have a beach, so if lounging on sand is your priority, this might not be the right fit. This tour is best suited for travelers who want a straightforward, affordable snorkeling experience and are comfortable with boat rides and being in open water. It’s particularly appealing if you’re on a budget but still want to see lively marine ecosystems up close.
You can check availability for your dates here:Key Points

- Affordable Price: At $22, this snorkeling trip offers good value for marine enthusiasts on a budget.
- Accessible Marine Life: Expect to see colorful fish, live coral reefs, and possibly turtles or reef sharks.
- Convenient Logistics: Includes boat transportation and snorkeling gear, simplifying your day.
- Limited Beach Access: Angel Rock has no beach; plan to snorkel and return directly via boat.
- Weather Dependent: The tour performs best in calm sea conditions with good visibility.
- No Guide Services Included: You’ll need to rely on your guide’s knowledge or explore independently.
Planning more time in Trikunamalaya? We've covered other experiences worth considering.
A detailed look at what makes this snorkeling adventure special

Location and Setting
The tour departs from Nilaveli, a popular seaside town with a relaxed vibe, and takes you roughly 1.8 km from Pigeon Island, a well-known marine reserve. Angel Rock itself is a submerged formation that attracts snorkelers thanks to its proximity and rich marine life. While Pigeon Island boasts a designated national park, Angel Rock offers a more accessible alternative for those who want a quick, nearby underwater escape.
The waters are described as crystal-clear, making it easier for snorkelers to spot a variety of marine creatures. The coral reefs surrounding Angel Rock are alive with colorful fish, creating a vibrant underwater tableau. The natural environment lends itself to memorable moments, especially for those who appreciate marine biodiversity.
The Snorkeling Experience
Once aboard the provided boat, you’ll head out to Angel Rock, which doesn’t have a beach of its own. This means no lounging on sand but plenty of swimming and floating above coral reefs. The trip includes all necessary snorkeling equipment, so you can focus on floating and enjoying the scenery rather than worrying about gear.
A key highlight, according to reviews, is the chance to observe live coral reefs and fish. We loved the way the guides facilitate access to these underwater wonders, making the experience smooth and enjoyable. As one traveler noted, “I highly recommend it,” and emphasized the joy of witnessing marine wildlife in a safe, controlled environment.
More Great Tours NearbyWildlife and Marine Life
The tour’s appeal lies heavily in the possibility of seeing turtles and black tip reef sharks. Though sightings aren’t guaranteed, the chance adds an element of thrill. Keep your eyes open; the marine environment is lively and diverse. This is a highlight for many, especially since the reefs are teeming with colorful fish and lively coral formations.
Practical Considerations
The tour’s logistics are straightforward but important to note. The meeting point is set at The Dive Shop in Nilaveli, and the activity ends back at the same spot — no complicated pickups or drop-offs. The trip lasts a typical duration, with the boat ride included to and from Angel Rock.
Since the tour isn’t guided in the traditional sense, it’s up to you to ask questions or explore independently. This simplicity appeals to travelers who prefer a self-guided feel, but those wanting detailed marine biology insights might find this lacking.
Why This Tour Is Worth Considering

For travelers seeking an affordable, family-friendly snorkeling outing, this trip ticks many boxes. It offers a good balance of adventure and convenience, especially for those who want to dip into Sri Lanka’s marine life without extensive planning or high costs. The inclusion of snorkel gear and boat transport simplifies the experience, and the marine biodiversity provides a memorable glimpse underwater.
However, keep in mind that Angel Rock doesn’t have a beach, so there’s no opportunity to relax on sand afterward. Also, the experience’s quality depends on weather conditions, so if the sea is choppy or visibility poor, marine sightings may be limited. For those prone to seasickness or with back problems, the boat ride and open water environment might pose challenges, so plan accordingly.
Who Should Consider This Tour?

This snorkeling trip is ideal for budget-conscious travelers eager to see vibrant fish and coral reefs, especially if they don’t mind a boat ride and are comfortable in open water. It’s perfect for families, groups, or solo adventurers looking for a quick underwater escape. Those interested in marine wildlife — from turtles to reef sharks — will find this experience a worthwhile addition to their Sri Lankan itinerary.
If you’re simply looking for a relaxing beach day with lounging and swimming in calm waters, you might prefer a different activity. But for a lively, affordable, and authentic snorkel in Sri Lanka’s waters, this trip delivers.
Frequently Asked Questions

Is transportation included?
No, the tour starts and ends at The Dive Shop in Nilaveli. You’ll meet there to board the boat, which provides transportation out to Angel Rock and back.
What should I bring?
Bring a hat, swimwear, towel, sunscreen, and water. Since Angel Rock doesn’t have a beach, a waterproof camera or snorkel gear is optional but recommended.
Are guide services included?
No, there are no guided tours or explanations included. You’ll have access to snorkeling equipment and the boat, but the experience is self-guided.
Can non-swimmers join?
The information suggests the tour isn’t suitable for non-swimmers or people with back problems, due to the open water environment and boat ride.
What is the best time to go?
The tour is best enjoyed during calm sea conditions with good visibility. Check the weather before booking to ensure optimal conditions.
How long does the tour last?
While the precise duration isn’t specified, expect a typical snorkeling trip to last a few hours, including boat rides and time in the water.
Is this suitable for children?
Given the mention about non-swimmers and those with back problems, it’s best for children who are comfortable in water and can handle boat rides.
Can I cancel or reschedule?
Yes, you can cancel up to 24 hours in advance for a full refund, allowing flexibility if weather or personal plans change.
Final Thoughts
The Snorkeling Trip to Angel Rock offers excellent value for travelers eager to experience Sri Lanka’s underwater world without overspending. The combination of affordable pricing, colorful marine life, and uncomplicated logistics makes it an attractive option for those who want a straightforward snorkeling outing.
You’ll love the chance to float above vibrant coral reefs and see marine creatures like turtles and reef sharks — if luck is on your side. The knowledgeable boat crew, combined with the stunning underwater scenery, creates a memorable experience. It’s a perfect choice for budget travelers, families, or anyone wanting a quick marine adventure during their Sri Lankan holiday.
Remember to go in calm weather, bring your essentials, and keep expectations realistic about marine sightings. While it’s not a luxury or guided tour, it provides genuine access to Sri Lanka’s lively aquatic ecosystems at a fraction of the cost of more elaborate excursions. If exploring marine life in a relaxed, friendly environment appeals to you, this snorkeling trip is worth considering.
You can check availability for your dates here: